Captain Experiences makes booking a fishing guide quick and easy. Search for your next trip below:

Fishing report from Mike S. in Surfside Beach, Texas

Fishing report from James C. in Pensacola, Florida Book a trip with Captain James here.

Fishing report from Ronald D. in Gulf Shores, Alabama Book a trip with Captain Ronald here.

Fishing report from Alex P. in Pensacola, Florida Book a trip with Captain Alex here.

Fishing report from Tim R. in Naples, Florida Book a trip with Captain Tim here.

Fishing report from Richard T. in Fort Myers Beach, Florida Book a trip with Captain Richard here.

Fishing report from Rob K. in Orange Beach, Alabama

Fishing report from Brooks M. in Orange Beach, Alabama Book a trip with Captain Brooks here.

Fishing report from Steven H. in Sarasota, Florida Book a trip with Captain Steven here.

Fishing report from Antonio E. in Key West, Florida Book a trip with Captain Antonio here.

Fishing report from Darius K. in Sarasota, Florida Book a trip with Captain Darius here.

Fishing report from Bill P. in Jacksonville, Florida

Fishing report from Tom M. in Orange Beach, Alabama Book a trip with Captain Tom here.

Fishing report from Matt K. in Belleair Bluffs, Florida Book a trip with Captain Matt here.

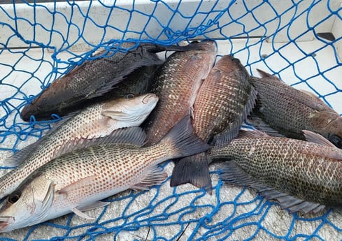
    This month has been great for the near shore(inside 9 miles) fishing. There has been plenty of action with Mangrove Snapper,Grunt,Triggerfish and the occasional hog fish that crash the party. The weather is super hot and the fish seem to be fired up. Black Sea Bass are an occasional catch along with Lane and Yellowtail Snapper. The last two seem to be found in 40 feet or more. Cobia are always a possibility on some of the nearshore reefs and wrecks. We have had great success with light chumming and a flat line out while we bottom fish. You never know what may show up. Book a trip soon so you don't miss all the action.
    This month has been great for the near shore(inside 9 miles) fishing. There has been plenty of action with Mangrove Snapper,Grunt,Triggerfish and the occasional hog fish that crash the party. The weather is super hot and the fish seem to be fired up. Black Sea Bass are an occasional catch along with Lane and Yellowtail Snapper. The last two seem to be found in 40 feet or more. Cobia are always a possibility on some of the nearshore reefs and wrecks. We have had great success with light chumming and a flat line out while we bottom fish. You never know what may show up. Book a trip soon so you don't miss all the action.

Fishing report from Aaron H. in Port Orange, Florida Book a trip with Captain Aaron here.

Fishing report from Robbie B. in Destin, Florida Book a trip with Captain Robbie here.

Fishing report from Vasiliy O. in Sarasota, Florida Book a trip with Captain Vasiliy here.

Fishing report from Mike S. in Surfside Beach, Texas Book a trip with Captain Mike here.

Fishing report from Robert F. in Destin, Florida Book a trip with Captain Robert here.

Fishing report from Steven S. in Daytona Beach, Florida Book a trip with Captain Steven here.

Fishing report from Chris P. in Tavernier, Florida Book a trip with Captain Chris here.

Fishing report from Joey S. in Destin, Florida Book a trip with Captain Joey here.

Fishing report from Bryant F. in Pensacola, Florida Book a trip with Captain Bryant here.

Fishing report from Travis M. in Corpus Christi, Texas

Fishing report from Hunter L. in Key West, Florida Book a trip with Captain Hunter here.

Don't see your location? Sign up for expansion updates:

Enter to Win a

$500 DAMN GOOD GIFT CARD

Gift Card

Sign up to win $500 towards ANY trip. Winners drawn monthly.

By subscribing, you agree to receive marketing communications from Captain Experiences. To opt-out, click the unsubscribe button at the bottom of our emails. Privacy Policy and Terms & Conditions