D'Iberville Weather Forecast

Fishing reports straight from our guides in D'Iberville

Robert Mcdaniel
Biloxi, Mississippi
Reported: 2 years ago

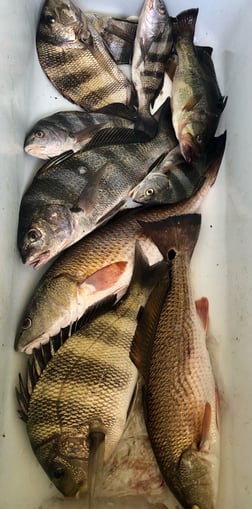
Have no fear the sheepshead’s are here!!! I know it sounds like a broken record but we are waxing them BIG sheepshead!! Pretty bunch every trip has just been catching all they can handle!! Pinch of live shrimps drop down beside some barnacle infested structures and hold on!! Lord them...
Robert Mcdaniel
Robert Mcdaniel Biloxi, Mississippi Reported: 2 years ago
Have no fear the sheepshead’s are here!!! I know it sounds like a broken record but we are waxing them BIG sheepshead!! Pretty bunch every trip has just been catching all they can handle!! Pinch of live shrimps drop down beside some barnacle infested structures and hold on!! Lord them 9 10 11 pounders know they can battle!!! I like a good game tug of war!! Who don’t?? We are catching quite a few black drum a trout or two and a flounder seems to jump in the boat bout every trip!!! Let’s go!!!
Sheepshead Fishing in
Sheepshead Fishing in
Sheepshead Fishing in
Sheepshead Fishing in
Scroll for more

Bill Mcdonnell
Biloxi, Mississippi
Reported: 2 years ago

With the cold fronts that are starting to move in every few days it is pushing these big sheep head into the bay Biloxi we are fishing on bottom using live shrimp fishing around the bridges and piers
Bill Mcdonnell
Bill Mcdonnell Biloxi, Mississippi Reported: 2 years ago
With the cold fronts that are starting to move in every few days it is pushing these big sheep head into the bay Biloxi we are fishing on bottom using live shrimp fishing around the bridges and piers
Sheepshead Fishing in Biloxi, Mississippi
Sheepshead Fishing in Biloxi, Mississippi
Scroll for more

Robert Mcdaniel
Biloxi, Mississippi
Reported: 2 years ago

String stretching!!! Man we are whacking them sheepshead!!! That Biloxi bay fishing whipping sheeps is fun yeah!!! Stretched strings bent rods & drag screaming action for sure!!! Couple days was EVERY cast!!! The Biloxi’s back bay is one of the fishiest places along the gulf coast for sure!!! That fresh...
Robert Mcdaniel
Robert Mcdaniel Biloxi, Mississippi Reported: 2 years ago
String stretching!!! Man we are whacking them sheepshead!!! That Biloxi bay fishing whipping sheeps is fun yeah!!! Stretched strings bent rods & drag screaming action for sure!!! Couple days was EVERY cast!!! The Biloxi’s back bay is one of the fishiest places along the gulf coast for sure!!! That fresh pinched dead shrimp dropped w/ a lil weight on a barnacle incrusted structure has been the ticket!!! It’s been typical winter fishing lately the 5 fish that are most common to our water is speckled trout, flounder, black drum, red drum & sheepshead very few if any trash fish. So when the thump thumps it’s usually a good fish!!! You’ll come get you some!! Have a blessed and merry Christmas and new year!!
Black Drum, Redfish Fishing in
Black Drum, Redfish Fishing in
Scroll for more

Bryan Cuevas
Biloxi, Mississippi
Reported: 2 years ago

As we approach the end of the year that's certainly not the end of fishing. Here in Biloxi Mississippi we fish all year long. Winter fishing can provide some good fish. The redfish, black drum, speckled trout, flounder and more are still around. As we move into January and February...
Bryan Cuevas
Bryan Cuevas Biloxi, Mississippi Reported: 2 years ago
As we approach the end of the year that's certainly not the end of fishing. Here in Biloxi Mississippi we fish all year long. Winter fishing can provide some good fish. The redfish, black drum, speckled trout, flounder and more are still around. As we move into January and February and the water cools off even more we should start seeing large Sheepshead around the bay and around the offshore Barrier Islands. Plan your fishing trip today.
Black Drum Fishing in Biloxi, Mississippi
Black Drum Fishing in Biloxi, Mississippi
Scroll for more

Bryan Cuevas
Biloxi, Mississippi
Reported: 3 years ago

As we move into the winter months, we tend to see more Sheepshead, black drum, redfish, speckled trout and flounder. We fish all year long here in Biloxi. While there's not a large variety of species to catch, the bite is still pretty good. If you're looking to escape the...
Bryan Cuevas
Bryan Cuevas Biloxi, Mississippi Reported: 3 years ago
As we move into the winter months, we tend to see more Sheepshead, black drum, redfish, speckled trout and flounder. We fish all year long here in Biloxi. While there's not a large variety of species to catch, the bite is still pretty good. If you're looking to escape the cold hard winners in the North consider Biloxi for a fishing destination!
Black Drum Fishing in Biloxi, Mississippi
Scroll for more

Robert Mcdaniel
Biloxi, Mississippi
Reported: 3 years ago

Caught some nice cobia out around the island as they are migrating back through!!! inshore bite whitetrout and sheepshead are on fire everything is looking normal for October salinity up waters cooling down and all the fish are feeding up!!
Robert Mcdaniel
Robert Mcdaniel Biloxi, Mississippi Reported: 3 years ago
Caught some nice cobia out around the island as they are migrating back through!!! inshore bite whitetrout and sheepshead are on fire everything is looking normal for October salinity up waters cooling down and all the fish are feeding up!!
Amberjack, Mangrove Snapper, Mutton Snapper, Red Snapper Fishing in Biloxi, Mississippi, USA
Amberjack, Mangrove Snapper, Mutton Snapper, Red Snapper Fishing in Biloxi, Mississippi, USA
Scroll for more

Robert Mcdaniel
Biloxi, Mississippi
Reported: 3 years ago

After The Big Rains!!!! Inshore bite was bad just for a couple of days after the end of August monsoonal rains.... Had a few catches of blue cats and bass down the bay.... The bite and the salt water bounced back very quick tho and it’s been strong since..actually we’ve...
Robert Mcdaniel
Robert Mcdaniel Biloxi, Mississippi Reported: 3 years ago
After The Big Rains!!!!
Inshore bite was bad just for a couple of days after the end of August monsoonal rains.... Had a few catches of blue cats and bass down the bay.... The bite and the salt water bounced back very quick tho and it’s been strong since..actually we’ve
had no rain since that last week of August!!! The water is nice and salty now!! Sheepsheads showed up a lil early when the salt water came back. Some biggins too!!!! A large nice variety of fish-flounder, speckle trout, black and red drum etc...Still a lot of different fish in the bays. Out on the 4 hour fishing trips we offer its a catch a minute!! Fast action for sure!
Little Tunny / False Albacore, Redfish, Striped Bass Fishing in Biloxi, Mississippi, USA
Little Tunny / False Albacore, Redfish, Striped Bass Fishing in Biloxi, Mississippi, USA
Little Tunny / False Albacore, Redfish, Striped Bass Fishing in Biloxi, Mississippi, USA
Little Tunny / False Albacore, Redfish, Striped Bass Fishing in Biloxi, Mississippi, USA
Little Tunny / False Albacore, Redfish, Striped Bass Fishing in Biloxi, Mississippi, USA
Scroll for more

Bryan Cuevas
Biloxi, Mississippi
Reported: 3 years ago

Fall is on its way. With that, it's usually awesome fishing for redfish in Biloxi Mississippi. October is normally one of the best months to catch slot Reds in the bay and bull Reds around the Barrier Islands. With the water soon cooling off the action will surely heat up....
Bryan Cuevas
Bryan Cuevas Biloxi, Mississippi Reported: 3 years ago
Fall is on its way. With that, it's usually awesome fishing for redfish in Biloxi Mississippi. October is normally one of the best months to catch slot Reds in the bay and bull Reds around the Barrier Islands. With the water soon cooling off the action will surely heat up. Biloxi Mississippi is the place to be for some of the best fall fishing.
Redfish fishing in Biloxi, Mississippi, USA
Redfish fishing in Biloxi, Mississippi, USA
Redfish fishing in Biloxi, Mississippi, USA
Scroll for more

Target Species

View Full Species Seasonality Chart »
  • Get it while it's HOT!
  • This species is in play.
  • You might get lucky (as long as things are in-season).
  • Couldn't tell ya! (no data)

Need a Place to Stay?

What's Biting in D'Iberville

Recent D'Iberville Reviews

  • ★★★★★
    Was a great trip

    William B. | December 3, 2025

    Trip: Biloxi Back Bay Barrier Islands

  • ★★★★★
    Captain Sonny was a great guide and we picked up plenty target fish and a great mix bag to keep the trip fun. I highly recommend! Ben Rivera

    Ruben R. | November 4, 2025

    Trip: Gulfport Inshore Fishing

  • ★★★★★
    Great day. Good fish! Enjoyed his guiding and knowledge of the water!

    Brad C. | October 24, 2025

    Trip: Half Day Trip – Inshore

  • ★★★★★
    We had the best time fishing with Robert! Neither of us had much experience before fishing..certainly not other than freshwater lakes so all new to us and Robert made it so fun, teaching us all about different techniques specific to the different fish..we caught so many varieties and just had a ball! Highly recommend!!! Can't wait to do it again!

    Sara D. | October 22, 2025

    Trip: Biloxi Inshore Light Tackle Trip

  • ★★★★★
    I give captain Mark a 5 star! He is knowledgeable, friendly, and a real pleasure to do business with. Although we didn't have the pleasure of many different species of fish biting it was still worth the monies spent to be out on the water with him and his deck hand Tyler. I would recommend him 100%.

    Shari H. | September 28, 2025

    Trip: 4-6-8 Hour Action Packed Charters!

  • ★★★★★
    We had an awesome trip with Captain Leo. He put us on fish early and often. We had novice to advanced fishermen in the boat and he catered to us all. Definitely would book again.

    Timothy S. | September 20, 2025

    Trip: Biloxi Back Bay Barrier Islands

  • ★★★★★
    It was the highlight of my trip and the best fishing experience I’ve ever been on. I would highly recommend going out with captain Leonard, he was very helpful and helped me catch a good bit of fish. My only regret is not booking sooner.

    Jeffrey P. | September 8, 2025

    Trip: Biloxi Back Bay Barrier Islands

  • ★★★★★
    I came down to Gulfport from Atlanta for labor day vacation and hired Captain Leonard to take us fishing. Leonard took great care of us and we caught a ton of really great fish. He gave us tips on being better fisherman as well. I highly recommend Capt. Leonard for your next fishing trip.

    Michael L. | August 31, 2025

    Trip: Biloxi Back Bay Barrier Islands

  • ★★★★★
    Timmy was amazing! He was very attentive and communicated well. Took us straight to the fish and had a blast!!!

    Charlie B. | August 25, 2025

    Trip: Biloxi Inshore/Nearshore Trip

  • ★★★★★
    Great vibes the whole trip, will definitely book again anytime in Mississippi

    Bryce G. | August 24, 2025

    Trip: Trolling/ Island Fishing

Top Fishing Trips in D'Iberville

Damn Good
Certified Damn Good Guides offer 10/10 trips. Guides earn this badge through quality reviews, quick and responsive communication, and low cancellation rates.
Fishing in Destin
Fishing in Destin
Fishing in Destin

Inshore, Nearshore Fishing in Biloxi

Biloxi Back Bay Barrier Islands

100% (15)
22 ft 1 - 4 People From $375
Fishing in Destin
Fishing in Destin
Fishing in Destin

Inshore Fishing in Biloxi

Biloxi Inshore Adventure

100% (9)
28 ft 1 - 6 People From $500
Fishing in Destin
Fishing in Destin
Fishing in Destin

Inshore Fishing in Gulfport

Inshore Fishing

100% (1)
24 ft 1 - 10 People From $475
Fishing in Destin
Fishing in Destin
Fishing in Destin

Inshore, Nearshore, Flats in Gulfport

Barrier Island/Nearshore Fishing

100% (1)
24 ft 1 - 10 People From $640
Fishing in Destin
Fishing in Destin
Fishing in Destin

Deep Sea Fishing in Biloxi

Red Snapper

100% (8)
36 ft 1 - 6 People From $1,600
Fishing in Destin
Fishing in Destin
Fishing in Destin

Inshore, Nearshore Fishing in Biloxi

Biloxi Inshore Outing

100% (8)
21 ft 1 - 4 People From $400
See all trips in D'Iberville